https://content-static.cctvnews.cctv.com/snow-book/index.html? item_id = 372109820365153608 toc_style_id = feeds_default track_id = 9457397f-e92d-45a0-45a0-918f-c8186ad591616_7803940194019573 share
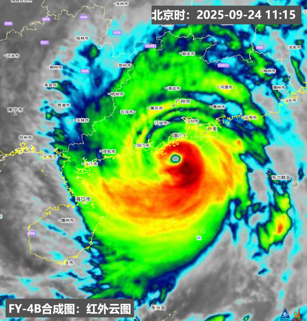
今天下午14点,“ Baigaza”在强烈的暴风雨水平上削弱了,最高的风能接近15级的中部,50米/秒(约180公里/小时)。该中心位于广东省扬江市以南约75公里的海上方。根据中央气象天文台的说法,风暴“ Huagaza”将于24岁的夜间到夜晚到达广东的扬江海岸,穿越莱佐半岛并进入贝布海湾。降落时强度是台风级别或强烈的风暴水平,然后向西南移动到越南北部,强度逐渐减弱。 △在9月24日的11:15,《固定气象卫星》的介绍fy-4b的地图表明台风“ baigaza”是l在广东东南部的海岸上宣传,云系统影响了广东省,广西东部和海南东部。那么,“ Birgaza”的道路如何发展?它携带的风暴有多强?公众避免最大的灾难风险?记者采访了中央气象天文台的暴风雨和海洋气象预报中心的首席预报员王·海普利特(Wang Haipping)。 “ Bangaza”对广东海岸造成了风和雨的严重影响。着陆后,“邦加”从巴希海峡进入南中国海,并以空气流到亚热带高压南部的气流引导,并向北移动。目前,它被转移到广东省的海岸。以后的天气受到北部冷空气影响的天气,“桦木加沙”的强度很弱,而且它的运动也会受到影响,并且它逐渐从北 - 西部向西移动到西方的移动方向。中央气象天文台预测,从24到26日,台湾海峡,中国北部和中国南部将发生强风和雨水。我们应该注意强风的可能不利影响。在某些地区,例如广东,东部和南部,海南和北部海南岛,福建东部和北部的某些地区,将会发生巨大的暴风雨,东部,江苏东部东部,台湾东部,江苏中部,中部,中部和南部的阿纳伊伊,以及当地的强烈的雨季以及西南地区。 △从凌晨6点到-23至06:00至TH -24,最大累积的Rainy4小时为302毫米。资料来源:国家气象信息中心△从6:00到23至06:00,在24日,广东的24小时强风为527m/s(16级),该风在千瓦地区的Miaowan主站,位于千山区的米亚万岛,广东省,广东省[G1216]。资料来源:广东省气象局南部和其他地区应b谨慎对强风和降雨造成的灾难。 “ Birch Gaza”具有大尺寸,强烈强度和强风的特性。上个赛季,南中国海北部,北部中国海湾,Qiongzhou海峡以及中部和西部的其他水域以及沿海地区的强风。公众需要继续采取措施避免风暴并尽力离开;中国南部,云南,瓜苏,江苏,富士,千江和其他地方,一定程度的大雨以及由大雨,山流,泥石流,滑坡和其他灾难造成的其他灾难。此外,在“桦木加沙”的影响期间,天文潮正在发展,广东沿岸发生了巨大的风暴。珍珠河河口附近的城市,香港和澳门需要小心海水回流。在风暴降落之后,随着强度削弱,风暴警告信号被升起,但这并不意味着风暴将消失。专家说“ Birgaza”也将是BRING降雨和强风向中国的海岸,相关地区将需要专注于防止其随后的影响。台风“ Bangaza”影响力将在9月26日左右结束,但是今年的第20次风暴“ Boroi”伴随着,该风暴在菲律宾东部于24日在菲律宾东部成立。中间附近的最大风速为8级(18米/秒),以每小时10至15公里的速度向北移动,逐渐接近菲律宾的东海岸。预计它将在27岁时进入南中国海的东部水域,然后随着强度的增加而移至北部 - 西北。从9月28日至10月1日,它影响了中国,西部和南部江南,以及当地重度或严重强烈的暴风雨。气象专家提醒,不应估计秋季风暴的影响。公众应及时关注风暴预测,并调整他们的生活和MAKE旅行感。自9月在锡本案中以来,秋天经常发生的飓风并不少见,在西北太平洋和南中国海发生了六次风暴。为什么风暴在秋天?秋天的频繁暴风雨并不少见。中央气象天文台的统计数据表明,从9月到11月的平均平均水平,平均每年进行10.7个秋季台风,而2.3次到我的国家。其中,有50%至60%的人遇到了暴风雨,强烈的暴风雨或暴风雨。 Wang Haiping解释说,在秋天,在整个标签中继续加热海洋,海温很高,为风暴的发展和加强提供了足够的能源。秋天大气循环的状况比标签日更稳定,垂直方向的风速或风向也削弱了TAA的变化,这与开发相符D强化风暴;南部季风和亚热带高压的南部空气流仍然相对活跃,载有大量的热和潮湿的水蒸气到风暴产生的区域。此外,秋天的暴风雨很容易遇到北方和南部的冷空气,加剧了热和潮湿的空气的崛起,并且很容易导致降雨。最近,来自印度洋的南部 - 西南季风很活跃,季风槽中的对流充满活力,海水的高温,循环状况相对稳定,水蒸气的传递就足够了,使最近的一代风暴变得更加茂密。 。
校园风采
>校区风采 “ Baigaza”削弱了强烈的风暴水平。它从扬江到达的海岸,从夜间到夜间。
2025-09-25
